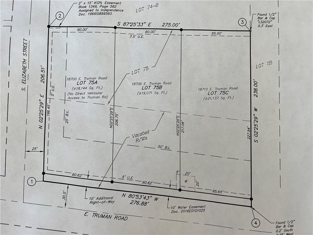
18710 E Truman Road, Independence, MO 64056

Mortgage Calculator

$40,000
 est. $248/mo

Lot 75C is a great spot to build your home! It's all set with water and meter already in place, plus all the utilities you need nearby. The lot has already been surveyed, staked, and marked, so you can easily see where it all begins. Taxes are estimated from before the lots were split, making this the perfect chance to snag your slice of earth.

Directions
291 N to Truman Rd, East on Truman Rd to address
Subdivision
East Independence
City
Independence
County
Jackson
Property Type
Land / Unimproved Land
Listing Updated
Jul 23, 2025 at 2:07pm
MLS Number
2423118
Property Tax
$1,165
Home Owners Association
No
Disclaimer
The information displayed on this page is confidential, proprietary, and copyrighted information of Heartland Multiple Listing Service, Inc. (“Heartland MLS”). Copyright 2025, Heartland Multiple Listing Service, Inc. Heartland MLS, Elite Realty and Agent Jo do not make any warranty or representation concerning the timeliness or accuracy of the information displayed herein. In consideration for the receipt of the information on this page, the recipient agrees to use the information solely for the private non-commercial purpose of identifying a property in which the recipient has a good faith interest in acquiring.
The data relating to real estate displayed on this website comes in part from the Heartland Multiple Listing Service database compilation. The properties displayed on this website may not be all of the properties in the Heartland MLS database compilation, or all of the properties listed with other brokers participating in the Heartland MLS IDX program. Detailed information about the properties displayed on this website includes the name of the listing company.
Information is deemed reliable but is not guaranteed.

Copyright © 2025 ELITE Realty.